For more information regarding the value of a property, please contact us for a free consultation.
142 Vista Vallarta DR Union, MO 63084
Want to know what your home might be worth? Contact us for a FREE valuation!

Our team is ready to help you sell your home for the highest possible price ASAP
Key Details
Sold Price $38,500
Property Type Vacant Land
Listing Status Sold
Purchase Type For Sale
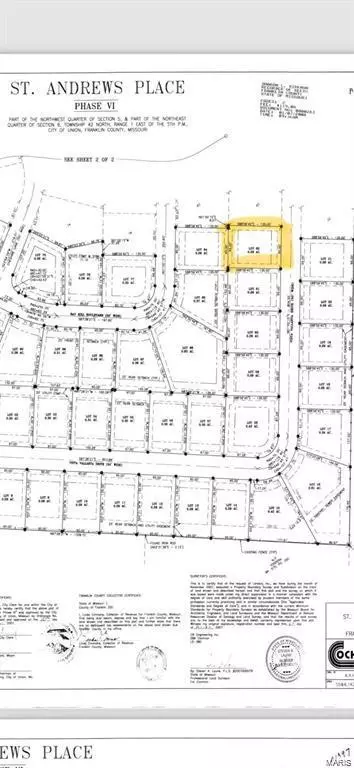
Subdivision St. Andrews Place
MLS Listing ID 24054514
Sold Date 12/17/24
Construction Status Finished Lot(s),Proposed,Site Plan Filed,Surveyed
Annual Tax Amount $117
Lot Size 0.290 Acres
Acres 0.29
Lot Dimensions 135x94x136x95
Property Description
Location, location, location! This lot sits on top of what feels like the highest point in Union, MO. Fantastic views looking over St. Andrews Subdivision and even some of the city. Perfect location to build your dream home. This site can be developed with your own builder and plans. Just minutes from I-44, ECC and of course several shops and restaurants. Located in phase VI Additional Rooms: In Platted Subdv.
Location
State MO
County Franklin
Area 362 - Union R-11
Zoning Single-Family
Interior
Fireplace N
Exterior
Parking Features false
Utilities Available Underground Utilities, Electricity Available
View Y/N No
Building
Lot Description Cul-De-Sac, Cleared, Level, Open Lot, Pasture
Sewer Public Sewer
Water Public
Construction Status Finished Lot(s),Proposed,Site Plan Filed,Surveyed
Schools
Elementary Schools Central Elem.
Middle Schools Union Middle
High Schools Union High
School District Union R-Xi
Others
Ownership Private
Acceptable Financing Cash, Conventional
Listing Terms Cash, Conventional
Special Listing Condition Standard
Read Less
Bought with Robert WBorgmann
GET MORE INFORMATION
